3 Tage auf den Keys (USA) : Schnorcheln in Key West, Traumstrände – Roadtrip in Florida #1
Mit diesem Artikel beginnt die Serie der Reisetagebücher für unseren Roadtrip nach Florida. Bleiben Sie dran, denn es warten eine Menge Überraschungen auf Sie.
Teil 1: Reisetagebuch Teil
2: Praktische Tipps
Teil 1: Reisetagebuch
Heute ist unser letzter Tag in Miami Beach. Bevor wir zu unserem Roadtrip aufbrechen, packen wir unsere gesamte Winterkleidung und Computerausrüstung in einen Koffer und stellen ihn in ein Schließfach. Es wird sicherer sein, als sie während unserer Besuche unbeaufsichtigt im Kofferraum des Autos zu lassen (mehr über die Schließfächer, die überall auf der Welt verfügbar sind, finden Sie hier).
Das ist eine gute Wahl, denn dadurch haben wir nicht nur mehr Platz im Kofferraum, sondern JB ist auch gezwungen, einen echten Schnitt zu machen, da sein Computer auch im Spind steht (böses Gelächter ahahha). Normalerweise blogge ich am selben Abend der Besuche, aber das erschöpft mich sehr, so dass mein Computer auch im Schrank steht und ich mich auf mein Gedächtnis verlassen muss, um diese Zeilen später für Sie zu tippen.
Autovermietung bei Hertz
Bevor wir nach Nordamerika flogen, nahm JB eine American Express Air France Karte (mehr Infos), um uns die Versicherungskosten zu ersparen (Amex deckt so etwas sehr gut ab), so dass wir getrost ein Auto bei Hertz mieten konnten, ohne dieses Mal für eine Versicherung bezahlen zu müssen.

Wir wurden in die nächste Klasse hochgestuft. Statt mit einem Kleinwagen fahren wir jetzt mit einem schönen, leisen, automatischen Chevrolet Cruz. Er bleibt klein und wendig im Vergleich zu anderen Pick-ups und Monstern auf der Straße (Amerikaner mögen keine kleinen Autos). Wie Sie auf dem Bild sehen können, gibt es in Kanada und in den USA kein Nummernschild an der Vorderseite des Autos.
Programm
Um zu den Tasten zu gelangen, ist hier unser Programm (Maus über die runden Punkte)
- Tag 1: Fahren Sie früh am Morgen los. Schnorcheln in Islamorada um 13 Uhr. Nacht im Homestead
- Tag 2: Fahrt nach Key West mit mehreren Stopps(Seven-Mile Bridge, Marathon, Bahia Honda Key). Besuchen Sie am Nachmittag Key West. Nacht in Key West
- Tag 3: Schnorcheln in Key West um 9 Uhr morgens. Besuchen Sie am Nachmittag Key West. Nacht neben der Homestead.
Am ersten Tag mussten wir umkehren, um in Homestead zu schlafen, aber es war entweder das oder 200€ für ein Hotel zu bezahlen, das wir in Key Largo nicht genießen konnten.
Tag 1: Wie wir fast unseren Schnorchelausflug verpasst hätten
Der Schnorchelausflug um 13 Uhr wurde telefonisch eine Woche im Voraus bei der Agentur gebucht. Hier sind wir frühmorgens mit unserem Chevrolet Cruz und verlassen Miami Beach um 9 Uhr. Wir sind dem Zeitplan weit voraus. Plötzlich kommt mir ein Gedanke: Wir werden genug Zeit haben, um in ein Einkaufszentrum zu gehen und dort zu Mittag zu essen.
Kurzer Ausflug zum Einkaufszentrum
Also fahren wir ins Dandeland Miami, 30 Minuten von Miami Beach entfernt, weil ich bei Urban Outfitters etwas kaufen wollte, um zu sehen, ob wir eine Sonnenblende für das Auto kaufen können.
Wider Erwarten sehen wir einen Tesla-Shop, Sie wissen schon, autonome Elektroautos! Schüchtern betreten wir den Laden, aber der Verkäufer beruhigt uns sofort und erlaubt uns, in alle Autos einzusteigen und mit dem Bedienfeld (das so groß wie ein Computer ist) zu spielen.

Ich bin kein großer Autonarr, aber ich bewundere diese technischen Fähigkeiten in Kombination mit einem minimalistischen Design, dem man nur schwer widerstehen kann. Es gibt immer das Brems- und das Geschwindigkeitspedal (um die Kontrolle über das Auto wiederzuerlangen – zum Spaß). Aber es gibt keinen Schalthebel, das Auto ist automatisch, elektrisch, kann selbst fahren, es gibt nicht einmal einen Schlüssel, nur eine Schiebekarte. Die Decke ist verglast, die selbstheizenden Sitze fahren vorwärts, rückwärts, lehnen sich mit einem Klick zurück.
Alles wird über den riesigen Steuerungsbildschirm zentralisiert. Dadurch entsteht viel Platz zwischen den beiden Vordersitzen. Es fühlt sich auch näher am Fenster an, weil der Platz auf dem Vordersitz, ohne die vielen Knöpfe, extrem vereinfacht wurde.

Dann haben wir bei Chick-fil-A zu Mittag gegessen, einer Fast-Food-Kette, die mit KFC vergleichbar ist und von der ich schon viel Gutes gehört habe. Am Ende war es nicht so gut. Das einzig Gute waren die Pommes.
Es ist 11:00 Uhr und ich schalte das GPS des Telefons ein. Am Tag zuvor (so gegen Mitternacht) hatte ich auf Google Maps nachgesehen und wir sollten normalerweise um 12 Uhr dort ankommen. Für einen Termin um 13 Uhr.
Aber hier der Horror: Waze meldet 2h30 Straße statt einer! Ich hatte die Staus eines Wochenendes in meiner Kalkulation nicht berücksichtigt, Anfängerfehler! (es gibt nur eine Straße zu den Keys, also ist es unmöglich, etwas anderes zu tun).
JB wirft mir einen finsteren Blick zu und man spürt, dass er gestresst ist, denn er wartet schon seit Monaten auf diesen Schnorchelausflug auf den Keys. Ich versuche, ihn so gut es geht zu beruhigen: Wir haben einen Termin um 13:00 Uhr, ja, aber das Boot fährt um 13:30 Uhr. Und dann fasst das Boot nur 6 Passagiere, die auf uns warten werden. Ein kleiner Anruf bei der Agentur später, die Dame ist überhaupt nicht erfreut, sagt mir aber, ich solle so schnell wie möglich kommen. Für 2h30 sind wir verdammt angespannt und sobald Waze eine zusätzliche Minute an unserer Ankunftszeit vorhersagt, steigt der Stress noch eine Stufe höher.
Außerdem sehen wir überall „Maut“-Schilder, verstehen aber nicht, wie man bezahlt. Wir werden später verstehen, dass zwischen Miami und den Keys die Maut automatisch erhoben wird und unsere Autovermietung dafür extra Gebühren verlangt (mehr Infos zur Maut hier).
Schnorcheln in Islamorada
Aber die Planeten sind ausgerichtet und dieser Roadtrip steht unter dem Zeichen des Wunders, also kommen wir um 13:31 Uhr an und rennen los, um die Papiere zu unterschreiben, zu bezahlen (50$/Person in bar), die Flossen zu nehmen und wir sind im Boot… Wir haben es geschafft, wir haben es geschafft! #insert them-smileys-dancing-here Es ist, als ob ich den amerikanischen Traum wahr gemacht habe ahahhahahahaha:D
Wir hielten eine Meile von einem alten Leuchtturm entfernt. Während wir schnorcheln, geht einer der Gäste zuerst hinunter, um mit seinem Tauchlehrer den Tauchgang zu machen.
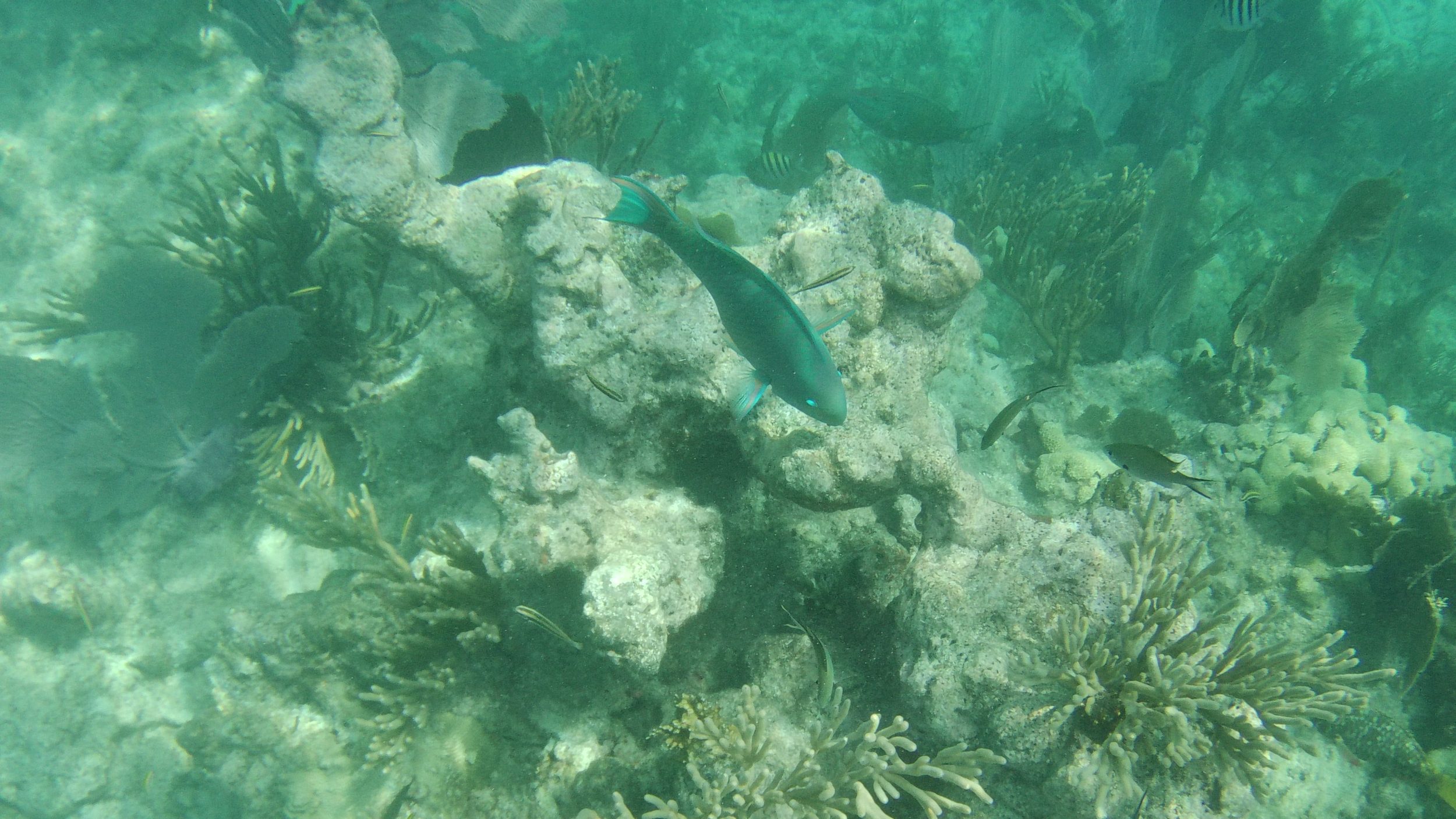
Das Wasser ist heute leider nicht sehr klar und es gibt nicht viele Fische. Da die Sonne nicht vorhanden ist, gibt es eine grüne Farbe auf den Bildern, statt blau, das ist nicht sehr schön. Nachdem wir das Gebiet umrundet haben, wollen wir gerade wieder ins Boot steigen, als wir sehen, dass die Fische alle… unter dem Boot sind – um den Schatten zu genießen. Und ein riesiger Barrakuda versteckt sich dort auch (aus der Ferne dachte ich, es sei ein Hai und mein Herz blieb für eine Mikrosekunde stehen).

barrakuda 
kleine Fische
Der Kapitän macht sich Sorgen und schaut überall nach, weil er die Blasen von den Tauchern nicht sehen kann. Tatsächlich ist der übliche Ausbilder krank und wird durch eine andere Person ersetzt – die in das falsche Boot gestiegen ist und eine Stunde lang im Kreis gefahren ist. Vielleicht liegt es an dieser Verspätung, dass wir letztendlich nur einen Zwischenstopp eingelegt haben? (anstelle von 3!).
Auf dem Weg zurück in den Hafen rufen die Amerikaner „manatee“ und zeigen uns etwas, das wie der Rücken einer Robbe aussieht. Ich musste es googeln, um herauszufinden, was es ist => Seekuh auf Englisch
Nacht im Homestead

Bei sintflutartigem Regen steigen wir wieder ins Auto und fahren zurück nach Homestead. Unser Hotel: Hotel Redland(Buchungslink) mit seiner Whisky-Bar, mit einer sehr alten, sehr amerikanischen Einrichtung, gefällt uns sehr gut. Die Paella soll fallen. Wir haben eine gute Nacht verbracht und das war auch gut so, denn wir brauchten Ruhe nach so viel Stress 🙂
Um den Vlog dieses ersten Reisetages zu sehen, schauen Sie sich unser Video an:
Tag 2
Die Urlaubsstimmung ist auf dem Höhepunkt, wir fahren heute früh los, um nicht wie am Vortag im Stau zu stehen. Ich habe im Internet mehrere Strände gefunden, die uns auf dem Weg interessieren könnten. Die Idee ist, unsere kleine Drohne zu fliegen, nicht zu schwimmen, denn der Weg ist noch lang (mehr als 200km an einem Morgen zu schaffen).
John Pennekamp Coral Reef State Park, Overseas Highway
Erster Halt: John Pennekamp Park in Key Largo. 4,5 $/Person. Die Leute kommen hierher, um zu schwimmen, aber hauptsächlich um Kajak zu fahren. Überall wachsen Mangroven (siehe Luftbild), und es ist der ideale Lebensraum für Krokodile und Alligatoren. Es gibt ein Schild, das auf die Anwesenheit von Krokodilen hinweist. Der Schwimmbereich ist durch ein Netz geschützt, aber ehrlich gesagt ist es nutzlos.
Von hier aus kann man sich für eine Schnorcheltour mit dem Boot entscheiden. Key Largo ist der beste Ort, um dies zu tun, weil es in der Gegend ein Korallenriff gibt. Allerdings sind die Meinungen in letzter Zeit gemischt, es scheint, dass die jüngsten Stürme viel in der Gegend zerstört haben.


Sombrero Strand

Einer der schönsten Strände auf den Keys. Ernsthaft? Uhhh… Der Vorteil, den ich sehe, sind kostenlose Duschen und auch kostenlose Parkplätze.
Ich gebe zu, dass das Foto oben gar nicht schlecht ist, aber in der Realität greift ein süßlicher Geruch von zersetzten Algen die Nasenlöcher an. Überall an den Stränden in Florida ist gekennzeichnet, dass sie sich weigern, die Algen zu entfernen, weil sie als Dünger für die Mangroven verwendet werden sollen. Das ganze Ökosystem. Das ist gut!
Auf der anderen Seite wird das Spiel der Touristen sein, DEN Strand ohne Algen zu finden, oder mit Algen, aber nicht stinkend.
Sieben-Meilen-Brücke
Wenn Sie sich Google Maps ansehen, werden Sie denken, dass eine Reise zu den Keys wie Inselhopping auf den Philippinen ist, nur mit dem Auto und mit Brücken zwischen den Inseln. Sie fahren fast auf gleicher Höhe mit dem Wasser, als ob Sie im Blau des Ozeans baden würden. Was für ein Nein! All dies ist BEENDET!
Die Mangrove hat die Oberhand gewonnen, jetzt haben Sie das Grün der Mangrove, das die Sicht versperrt 🙁 Hier ist ein Luftbild, um diese „visuelle Verschmutzung“ zu illustrieren 😀

Aber aber aber, es gibt immer noch einen magischen Ort auf den Keys, und das ist die Seven-Mile Bridge. Ohne Mangroven. Blau, so weit das Auge reicht. Die Brücke trägt das Florida-Keys-Aquädukt und Glasfaserkabel.
Die alte Brücke, parallel zur neuen, ist jetzt eine Fußgängerbrücke, ideal für Fischer, Radfahrer… und Touristen.

wir sahen einen riesigen Barrakuda und einige Vögel. Es war großartig! Ich werde es nie satt.


Bahia Honda
Es ist wirklich der schönste Strand auf den Keys. Okay, der Seetang ist noch da, und der Sandteil ist ein bisschen klein, aber..
(1) es fühlt sich nichts an
(2) die Tiefen sind variabel, man kann sich hinsetzen, wie beim Schnorcheln, Schwimmen, Kajakfahren…
(3) der Strand ist riesig
(4) es gibt Duschen vor
Ort
(5) die Parkplätze sind riesig


Der Eintritt beträgt 4,5 $/Person. Und wenn Sie ganz bis zum Ende gehen, finden Sie einen kleinen Pfad, der zu der alten Brücke führt, die durch die Stürme zerstört wurde. Manche Leute schnorcheln in der Nähe, weil es dort mehr Fische gibt.

Wir holen unsere Strandtasche aus dem Kofferraum mit der Absicht, darin zu schwimmen, aber die drohenden Wolken kamen viel zu schnell 🙁
Key West

Wir fahren ohne anzuhalten und kommen ENDLICH in Key West an! Luftlinie sind wir 170KM von Havanna entfernt, es ist verrückt! Die Entwicklung von Key West erfolgte dank seiner strategischen Lage, seinem Tiefwasserhafen, seinem Marinestützpunkt… und die Insel ist international bekannt dank der Persönlichkeiten, die sie besucht haben, wie Hemingway, Tennesse Williams…
Im Gegensatz zu anderen Orten in den USA haben die Straßen hier Namen anstelle von Nummern. Es ist schwieriger, sich zurechtzufinden 🙂
Wir checken zuerst im Hotel Douglas House(Buchungslink) ein (alter Hausstil, es ist super schön, mit privatem Parkplatz), bevor wir den Hafen besuchen. Freie Parkplätze sind rar, die meisten sind mit „Residential“ (für die Einheimischen) gekennzeichnet, so dass wir nur kostenpflichtige Parkplätze haben, für 4$ pro Stunde.
Am Hafen suchen wir verschiedene Agenturen für das morgige Schnorcheln auf. JB besteht auf 2 oder 3 Stopps an der Seite, um nicht den ganzen Tag in nicht sehr klarem Wasser zu verbringen. Die meisten Schnorchel-Agenturen haben kein Büro und verkaufen Tickets nur online, also buchen und bezahlen wir auch nur online.

Südlichster Punkt der kontinentalen USA
Wir passieren schnell den südlichsten Punkt der Vereinigten Staaten, aber angesichts der Schlange zum Fotografieren und der Unmöglichkeit zu parken, konnten wir dort nicht anhalten. Um zu sehen, was es ist, sind hier die Bilder auf Google
Higgs Strand
Der Spaziergang auf dem Pier am Higgs Beach ist wirklich entspannend. Das Wasser ist leider etwas grün wie gestern, und wir sehen vom Pier aus, dass es hier nicht viele Fische gibt.

Wir fahren durch die Stadt und bewundern die schönen alten Häuser, die den Ruf dieser Insel ausmachen.


Mallory-Platz
Wir beenden den Tag am Mallory Square für den berühmten Sonnenuntergang. Es gibt einen Foodtruck vor Ort, ein teures Restaurant und viele Animationen, die bis zum Sonnenuntergang um 20 Uhr warten. Wir sind erleichtert, das sehr blaue Wasser hier zu sehen, die Chancen stehen gut, dass das Schnorcheln morgen bei so klarem Wasser außergewöhnlich sein wird.

Die Wolken machen den Himmel noch schöner. Sie können sich zu dieser Zeit auch für eine Schnorcheltour oder eine Bootsfahrt entscheiden.


Tag 3
Schnorcheln
Am nächsten Tag brechen wir zu einer 4-stündigen Bootsfahrt mit Fury Water Adventures auf. Bei Online-Buchung erhalten wir 10 % Rabatt, und wir haben das „Double Dip“-Paket gewählt, um 2 Stopps zu haben.

Es war eine sehr gute Wahl, denn die Agentur scheint um die Umwelt besorgt zu sein. Sie versorgte uns mit Sonnencreme, die mit den Korallen kompatibel ist, und bat uns, das Schnorchelgebiet zu respektieren und einen Mindestabstand zu den Korallen einzuhalten. Alles wird zur Verfügung gestellt (Maske, Schnorchel, Flossen, die fischförmigen Bojen, die sie „Nudel“ nennen).
Alkoholfreie Getränke werden während des gesamten Ausflugs nach Belieben serviert, aber Bier gibt es nur nach dem Schnorcheln. Im hinteren Teil des Bootes gibt es einen Frischwasserbereich zum Spülen. Gut, denn danach haben wir noch einen langen Weg vor uns.
Das Wasser ist deutlich blauer, transparenter. Sie muss mindestens 5 Meter tief sein, aber wir können alles bis auf den Grund sehen. Fische gibt es immer. Wir sind natürlich nicht in Thailand, auf den Philippinen, in Australien oder auf Kuba, aber schön ist es trotzdem.




Ich hörte, wie ein Tourist von einem Ammenhai sprach, der im Sand gesehen wurde, und JB sah einen riesigen Barrakuda.
Auf dem Schiff war mir das Verhalten der Franzosen sehr peinlich… Sie sind die einzigen, die Zigarette um Zigarette rauchen, ohne dass es ihnen peinlich ist, egal in welchem Land; ich hasse Rauch, und ich nehme ihnen das Passivrauchen übel, das sie mir aufzwingen.
Lichthaus
Es ist heute schwierig, die Nützlichkeit eines solchen Leuchtturms so weit vom Hafen entfernt und umgeben von Bäumen und Häusern zu erkennen, aber dieser Leuchtturm leitete Hunderte von Booten, bevor er 1969 für veraltet erklärt wurde.

Hemingway’s Haus
Gleich nebenan befindet sich das Haus des Schriftstellers Hemingway. Es hat lange gedauert, bis wir einen Parkplatz gefunden haben (auch noch kostenlos) und das Laufen in dieser Hitze, auch nur 5 Minuten, hat mich fast fertig gemacht.
Aber sobald ich einen Fuß in den Garten setze, fühle ich mich wieder gut. Der Eintritt beträgt $14/Person, und die Bezahlung erfolgt nur in bar. Wir können Ihnen eine Präsentationsunterlage (in allen Sprachen) geben, aber es gibt auch regelmäßig kostenlose Führungen in englischer Sprache, und wir konnten an einer dieser Touren teilnehmen.

Das Haus sieht riesig aus, aber im Inneren wirkt jeder Raum recht klein (vielleicht wegen der Dekoration, die auch ein bisschen hektisch ist).

Hemingway war sehr vernarrt in Katzen, und er hatte eine schneeweiße Katze mit 6 Fingern (normale Katzen haben 5), die ihm von einem Kapitän geschenkt wurde. Polydactyl-Katzen sind besonders gut an das Boot angepasst, weil sie offenbar besser Mäuse jagen. Dank Schneewittchens sehr aktivem Leben sind ihre Nachkommen zahlreich und nun hat die Hälfte der Katzen auf dem Boot 6 oder mehr Finger, genau wie sie.

Katzen sind überall erlaubt, schlafen auf den Möbeln, auf dem Bett, im alten Büro des Schriftstellers… genau wie zu Lebzeiten des Schriftstellers.


Der berühmte Swimmingpool des Hauses kostete 3 mal mehr als das Haus selbst 🙂 er bleibt der größte auf der Insel. Leider benutzt es niemand mehr.

Der Besuch dieses Hauses ist mein Lieblingserlebnis in Key West. Darüber zu sprechen, weckt bei mir immer noch viele Emotionen. Ich habe so viel über dieses Haus und seine Katzen gehört und gelesen, dass ich das Gefühl habe, es existiert nur in Büchern. Außerdem versetzen mich die schwüle Hitze und die vielen Ventilatoren an der Decke direkt in meine Kindheit zurück.
Nein, ein Haus mit einem solchen Garten hatten wir in Vietnam nicht, aber als ich durch den Garten ging, erinnerte ich mich an das kleine Familienhaus meiner verstorbenen Großmutter. Im Schlafzimmer gab es einen riesigen Deckenventilator. Dieser Ventilator wurde als Ergebnis von Papas Lottogewinn gekauft… damals war dieser Ventilator so viel wert wie heute ein Porsche, also entschied sich Papa trotz seines Lottogewinns, das Notwendigste für uns alle zu kaufen: einen Ventilator. Die Vietnamesen pflegten nach dem Mittagessen ein Nickerchen zu machen, und obwohl ich nicht wie alle anderen ein Nickerchen machen konnte, versuchte meine Großmutter immer, mich zum Schlafen zu bringen und schaukelte mich jeden Mittag in den Schlaf. Ich habe sie machen lassen, weil der Gesang schön war.
Con cò mà đi ăn đêm,
Đậu phải cành mềm, lộn cổ xuống ao.
Ông ơi! Ông vớt tôi nao,
Tôi có lòng nào, ông hãy xáo măng.
Có xáo thì xáo nước trong,
Đừng xáo nước đục, đau lòng cò con.
Jeden Tag, während der Siesta, starrte ich auf den Ventilator und achtete auf das kleinste Geräusch der Straßenverkäufer oder auf jedes Geräusch, das diesen friedlichen Moment, in dem die ganze Stadt in Bereitschaft zu sein schien, zerreißen würde. Ich würde dort liegen, mein Kopf auf einem blauen Satin-Kissenbezug mit gesticktem Phönix und Drachen. Wenn es Stromausfälle gab (damals sehr zahlreich), holte meine Großmutter ihren großen Ventilator heraus, einen Ventilator, der gut roch, während sie mich weiter schaukelte. Am Ende schlief sie immer zuerst ein, während ich mit weit aufgerissenen Augen auf die Bewegung des Ventilators starrte. Und heute, in diesem grünen Garten, in den ich zum ersten Mal meinen Fuß gesetzt habe, in dieser feuchten, aber geräuschlosen Hitze, nicht einmal die des Windes, habe ich die gleiche Ruhe gefunden wie bei den vielen Nickerchen in Vietnam. Alles, was ich brauchte, war das Lied meiner Großmutter.


Wir fahren in die entgegengesetzte Richtung zurück, verlassen Key West und verbringen die Nacht in Kendall. Den Vlog der 2 Tage in Key West gibt es auch hier :
Lesen Sie hier mehr über unseren unglaublichen Roadtrip in Florida
Teil 2: Praktische Tipps
Budget & Adressen
- Schnorcheln in Key Largo: Wählen Sie die Agentur, die Sie wollen, das + wäre, 2 bis 3 Stopps zu haben, um die Tiefen zu variieren. Dieser Teil ist oft unruhiger als in Key West, also Vorsicht vor denjenigen, die seekrank werden. Zählen Sie 45$ bis 50$/Person. Über Groupon können Sie etwas weniger bezahlen.
- John Pennekamp Coral Reef State Park: $4,5/Person, nur in bar
- Bahia Honda Beach: 4,5$/Person, erwarten Sie Bargeld
- Schnorcheln in Key West: wir empfehlen Fury Water adventures, das Double Dip Paket mit 2 Stopps für 52$/Person. Bei Zahlung und Online-Buchung erhalten Sie 10% Rabatt
- Besuch von Hemingways Haus: $14/Person, nur in bar
- Bezahltes Parken in Key West: 4$/Stunde, geben Sie Vierteldollar oder 1$, wenn Sie in bar bezahlen wollen. Die Bezahlung mit Kreditkarte wird akzeptiert.
- Unterkünfte in Homestead und Kendall
- In einem charmanten alten Haus: Hotel Redland(Buchungslink) $69 für ein Doppelzimmer, inklusive Frühstück und Begrüßungsgetränk
- Sehr sauber: WoodSpring Suites Miami Southwest(Buchungslink) $73,61 pro Doppelzimmer, unbegrenzt Kaffee & Tee
- Übernachtung in Key West: in einem charmanten Haus mit Pool: Douglas House(Buchungslink) $149 pro Doppelzimmer, unbegrenzt Kaffee & Tee

Dieser Artikel ist Teil unserer Serie von Road Trip in FloridaAlle anderen Reisebücher finden Sie hier:
- 3 Tage auf den Keys (USA) : Schnorcheln in Key West, Traumstrände – Roadtrip in Florida #1
- Wilde Delfine in Naples, The Ringling, Siesta Key Beach, Dali Museum (USA) – Road trip in Florida #2
- Ginnie Spring, Rainbow Spring (USA) – Road trip in Florida #3
- Das Drive In Erlebnis, das Open-Air-Kino in den Vereinigten Staaten – Road Trip in Florida #4
- Die Disney-Parks in Orlando (USA): Top-Attraktionen, Übernachtung, Fast Pass: Road Trip in Florida #5
- Universal Islands of Adventure in Orlando (USA) : Unser Lieblingsthemenpark – Road Trip in Florida #6
- Kennedy Space Center, Hollywood Beach – Florida Road Trip #7
- Besuchen Sie einen Raketenstart in Cape Canaveral (USA) – Road Trip in Florida #8